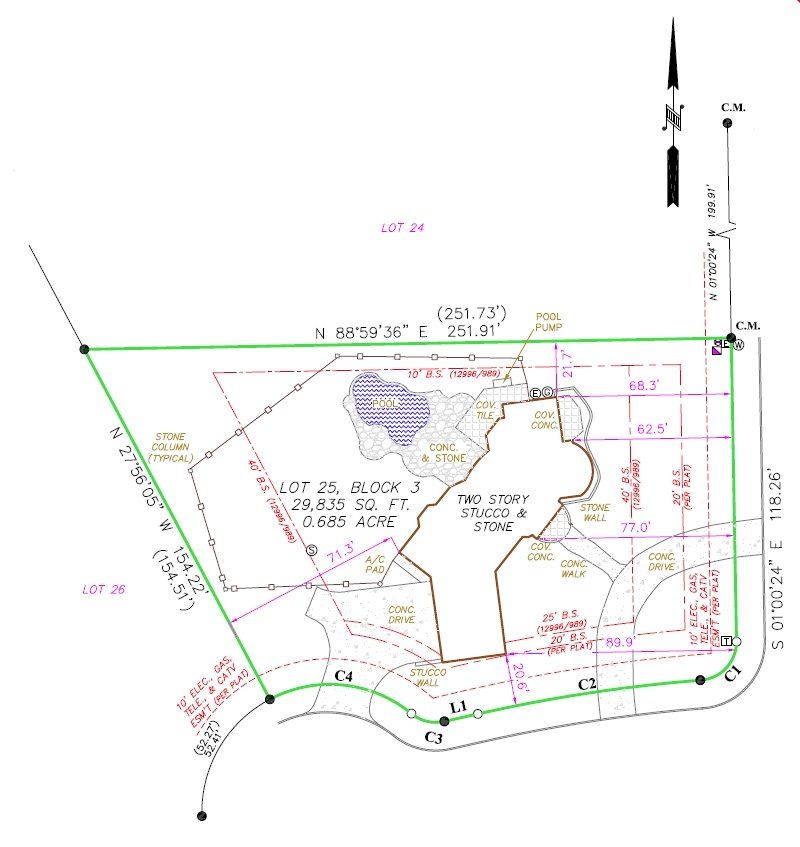
As-Built Survey
An as-built survey is generally the first survey of a property after specific improvements have been constructed on the property. This survey shows the owner, the Title Company and the Lending Institution the location of all improvements in relation to the property lines, known setbacks, and known easements.





